Büros, Bürogebäude, Gewerbegrundstück, Gewerbeobjekte, Grundstück, Lager, Garage, Stellplätze, Unternehmensadressen, Verkaufs- u. Ausstellungsflächen
1980
20,000 m2
1,220 m2
Video
Immobilien Details
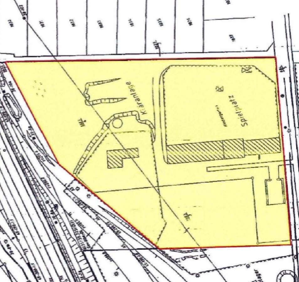
20.000 m² Stellfläche für UBER, Mietwagen, PKW Abstellfläche mit Büro in Zossen zu vermieten
Vermietet wird ein gewerblich nutzbares Areal mit Bürogebäude.
Auf dem ehemals zur Deutschen Bahn gehörenden Grundstück befinden sich mehrere Gebäude.
Ein aktuell als Büro nutzbares Gebäude mit einer Grundfläche von rd. 800 m², sowie zwei große vermietete LKW-Garagen / Werkstatt. Das Grundstück ist allseitig umzäunt. Sämtliche Medien liegen vor / bzw. auf dem Grundstück.
Das Grundstück liegt in ruhiger Lage am Waldrand mit angrenzendem Wohngebiet. Nur 8 Gehminuten vom Bahnhof entfernt, innerhalb von 30 Fahrminuten gelangt man mit öffentlichem Verkehrsmitteln in die Berliner City. Am/vor dem Grundstück liegen alle Medien an.
Bebauung: Bürogebäude (800 m²), LKW-Garage (320 m²).
Der Mietpreis bezieht sich auf den derzeitig aktuellen Stand, so wie das Objekt steht und liegt.
- Lage im Außenbereich gemäß §35, ausgewiesenes Bahnland
- Teil- erschlossen
- 800 m² Teilfläche mit Bürogebäude u. Werkstatt bebaut
- Im Flächennutzungsplan der Stadt Zossen zirka hälftig als öffentliche Grünfläche sowie als Eisenbahnnutzfläche ausgewiesen
- Angrenzend Wohnbebauung (EFH)
- In Sichtweite Wald
- Nahe öffentliche Verkehrsanbindung
- Zossen hat einen der bundesweit niedrigsten Gewerbesteuerhebesätze (270%)
ZUSAMMENFASSUNG
PLZ, Stadt: 15806 Zossen, OT. Wünsorf
Bundesland: Brandenburg
Objektart: Grundstück am Wald
Gebäude: 1.120 m²
Grundstück: 20.000 m²
Lage: Außenbereich §35 BauGB
Nutzung: Gebäude-u. Freifläche
akt. Baurecht: Bahnland**
